Skip to Main Content
Search
About Us
Departments
Services
How Do I...
Home
About Us
Boards & Commissions
Boards
Planning Board
Projects
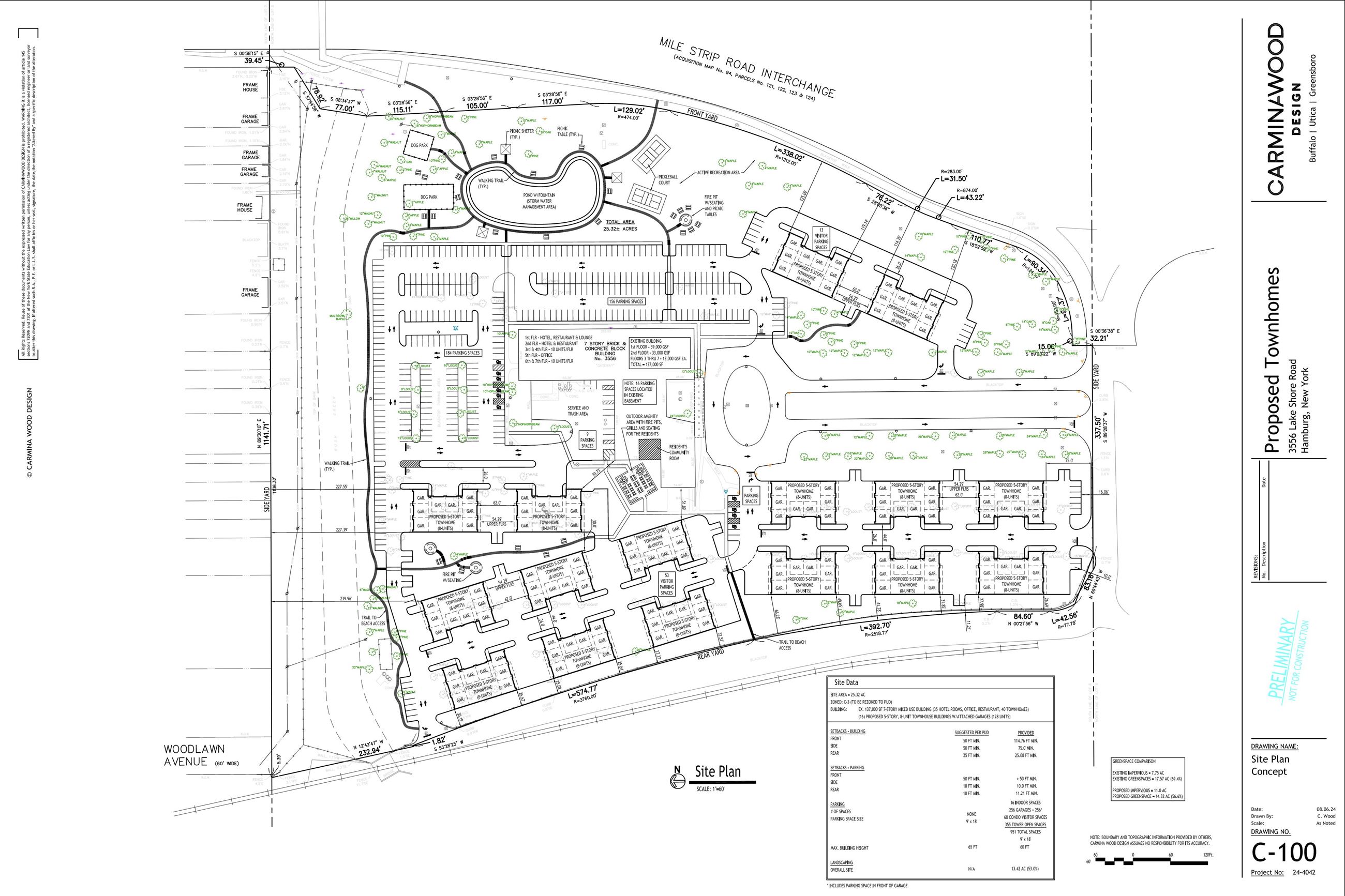
Gateway Building PUD Rezoning (3556 Lakeshore Road)
Gateway Building PUD Rezoning (3556 Lakeshore Road)
Revised Site Plan - 8.15.24
FEAF Part 1
Gateway PowerPoint
Stormwater letter 05-28-24
Traffic Impact Study - 7.17.24
716 Storage LLC Self-Storage Facility - Bayview & South Park
A.L. Asphalt Proposed Hot Mix Asphalt Plant - 5690 Camp Road
Briercliff Townhomes Project
Lucia's Restaurant - 4151 Lake Shore Road
Parker Road Subdivision - Dave Manko
Splash Car Wash 3701 McKinley Parkway
West Herr New Building - 4995 Southwestern Boulevard
Wetzl Rezoning - Big Tree Road
West Herr Towing Lot 3600 Sowles
Alliance Homes Rezoning
Feedmore WNY 4832 Camp Road
Hamburg Crossings 5220 Camp Road
3560 McKinley Parkway
Mod Wash Draft Scoping Document
Hamburg Crossings
Projects from the Past Year
Mod Wash Final Scoping Document
Hilbert College Athletic Field Project
Alchemy Shores Site Plan
4100 St Francis Drive
Camp Road Interchange District Proposed Zoning Areas
Benderson ITM Project 6000 South Park Ave
Ehrhart 4-lot Subdivision Pleasant Ave
DATO Mixed Use Project Rogers Road and Southwestern
ModWash DEIS
Lakeview Road and Memorial Drive Industrial Rezoning
Parker Road DEIS
DATO Riley and Bayview Townhomes
Gateway Building PUD Rezoning (3556 Lakeshore Road)
Jimmy Vu Rezoning 5387 Southwestern Boulevard
Wetzl DEIS
Alliance Homes 60-Unit Multifamily Development - Howard Road and SW Blvd
2024 Camp Road Interchange District Code Amendments
Brian Becker MU-1 Rezoning
Lardon Disposal Services C&D Transfer Facility 0 Woodlawn Ave
2025 Various Zoning Code Amendments
Colern 3-Lot Subdivision at Hazlewood Terrace and Lakeshore Road
Corey Tyger 6722 SW Blvd Pole Barn Building
4021 Jeffrey Blvd Contractor Shop Buildings
The Oaks at South Park Fence Removal Request
3401 and 0 Lakeshore Industrial Shop Buildings Project
Benderson 5400 Southwestern Blvd Multi-Tenant Retail Building
Hamburg Video Tour
Agendas & Minutes
Employment
Forms
Notify Me®
Online Payments
Government Websites by
CivicPlus®
Loading
Loading
Arrow Left
Arrow Right
[]
Slideshow Left Arrow
Slideshow Right Arrow